2052 COUNTY RD 18 ROADPrince Edward County (Athol Ward), ON K0K2T0




Mortgage Calculator
Monthly Payment (Est.)
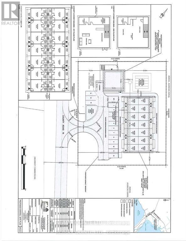
$6,342UNMATCHED HOTEL DEVELOPMENT OPPORTUNITY IN PRINCE EDWARD COUNTY - THE CLOSEST PERMITTED HOTEL SITE TO SANDBANKS PROVINCIAL PARK. This exceptional property offers what no other hotel project ever will: legal proximity to Sandbanks Provincial Park. Due to municipal restrictions, no future hotel will be approved closer than this site-situated approximately 200 meters from the park's main entrance. The location provides an unmatched advantage for guests seeking walkable access to one of Ontario's most popular tourist destinations, while remaining only minutes from the wineries, breweries, and dining options that define Prince Edward County. An approved Site Plan Agreement has been fully completed and is ready for execution. All required municipal reports and technical studies have already been conducted and submitted, creating a genuine shovel-ready development opportunity. The site plan calls for a one story building that contains 14 hotel rooms, each with their own outdoor patio, as well a 1500 sq ft, two story building that has a lobby/common area on the first floor and a large VIP suite on the second floor. There is a two bed, two bath house currently on the site that is used as an STA as well as a one story commercial building. The house generates 40k-50k in annual income. Current development plans call for the demolition of the commercial building and the house being moved to another location. A long list of studies and reports have been conducted during the approval period and can be made available upon request. They include but are not limited to; light study, traffic study, environmental reports, hydrogeological and storm water management. An excellent sales package is attached to this listing that includes conservative revenue projections. (id:31684)
| 2 weeks ago | Listing updated with changes from the MLS® | |
| 2 weeks ago | Listing first seen on site |
The trademarks MLS®, Multiple Listing Service® and the associated logos are owned by The Canadian Real Estate Association (CREA) and identify the quality of services provided by real estate professionals who are members of CREA. Used under license.
The trademarks REALTOR®, REALTORS®, and the REALTOR® logo are controlled by The Canadian Real Estate Association (CREA) and identify real estate professionals who are members of CREA. These trademarks are owned or controlled by The Canadian Real Estate Association (CREA) and identify real estate professionals who are members of CREA (REALTOR®) and/or the quality of services they provide (MLS®).
This REALTOR.ca listing content is owned and licensed by REALTOR® members of The Canadian Real Estate Association.
Did you know? You can invite friends and family to your search. They can join your search, rate and discuss listings with you.